EACH violation below is described and supported with one or more: licensed land surveys; photo/video evidence; links to local, provincial or federal laws; links to legal documents such as signed property sale or mortgage.
1-DOCK
2-OPEN FIRES
3-WATER BORDER/BANDE RIVERAINE VIOLATIONS
4-MOTORIZED DOCK
5-NOISE
6-UNAUTHORIZED TREE REMOVAL
7-TRESPASS
8-OWNER OF #53 LEGALLY ACKNOWLEDGED CURRENT SURVEY OF HIS PROPERTY
9-DUMPING ON PRIVATE PROPERTY
10-THEFT
11-DESTRUCTION OF PRIVATE PROPERTY
12-REMOVAL OF LEGAL SURVEY MARKERS
UPDATE: #53 PUT ON MARKET. LISTING CLAIMS PART OF #57 LAND AS BELONGING TO #53. CLICK HERE TO SEE PHOTO ON LISTING WEBSITE NEXT TO GOOGLEEARTH PHOTO WITH ACTUAL MEASUREMENTS.
1- DOCK
Between 2015 and 2019, previous owner of #53 (Paul Bernard, Jr,) removed the dock and replaced it with another one. Replacement was not in the same location. Previous dock, as seen in 2015 Google Earth photo, is roughly in centre of property’s lakeside border. Current (2024) dock, which was put in prior to end of 2019, is on the property line, as seen in 2022 google earth photo, and plotted using licensed survey work in 2023. [additional photo]
While the land border is about one meter from the property line, the property line is not parallel/perpendicular to the dock, resulting in the property line meeting the northwest corner of the dock. This is illustrated in the enlargement.
Saint-Hippolyte dock/quai zoning regulation 1171-19, chapter 7.4.6.6 requires that a dock be five metres from any property line, including property line continued into the lake:
“Le quai doit être situé à plus de 5 mètres de limites latérales du terrain (prolongement imaginaire des lignes sur le littoral).”
REMEDY: Dock must be moved at least five metres to the east.
2- OPEN FIRES
#53 contains a patio on which open fires occur. There is no structure containing a chimney, so the fires are OPEN fires.
Saint-Hippolyte regulation 1196-20 (Chapter 5, Article 19, #10, (p.12 of document) requires open fireplaces to be 6 metres from a property line, and 6 metres from any forest. The open fireplace is situated about zero metres from the property line, and less than one metres from the forest, as plotted and rendered by licensed survey work, and photographed, in 2023.
RÈGLEMENT N°1196-20 RELATIF À LA SÉCURITÉ INCENDIE
https://saint-hippolyte.ca/wp-content/uploads/2020/06/REG-1196-20.pdf
Chapter 5, Article 19, 10:
2.4.5.1. Feux à ciel ouvert et foyers extérieurs:
1) les feux à ciel ouvert sont autorisés aux conditions suivantes:
e) Le feu doit être situé à une distance minimale de
ii) 6 mètres d’une forêt;
v) 6 mètres de toute la ligne de terrain.
REMEDY: The open fireplace must be moved to the east such that it is located (entirely) at least 6 metres from the property line, which will also render it at least 6 metres from the current forest.
3- WATER BORDER/BANDE RIVERAINE
A drainage stream from the road, which carries runoff from the mountain, runs within the property at #57. The 10 metre protection border on either side of this stream extends onto the property at #53.
#53 has dumped dead plant matter, [click for photo then scroll down for 3 more,] including fertilized soil, into this 10-metre border. The plant matter and fertilizer will be washed down into the stream, and into the lake.
Saint-Hippolyte zoning regulation 1171-19, chapter 7.5 requires the protection of sensitive wet areas, “milieux humides.”
In addition to violating the protection of this sensitive area, the dumped plant matter and fertilizer constitutes trespassing to dump the matter, and dumping on private property. 2023 survey work shows the cut trees clearly on #57’s property.
If owner of #57 does not address the trees cut on her own property, the municipality of Saint-Hippolyte could fine her for cutting her trees that were BOTH within three metres of the property line AND within a protected area.
Saint-Hippolyte zoning regulation (1171-19, chapter 7.1.2) requires that trees within 3 metres of lateral property lines as well as in waterway protection areas must be conserved.
Dans tous les cas, les arbres sains situés à moins de 6 mètres des limites du terrain en cour avant et 3 mètres des limites du terrain en cours latérales et arrière doivent être conservés. L’obtention d’un certificat d’autorisation est obligatoire pour l’abattage : 1. de plus d’un arbre ; 2. d’un arbre ou plus situé en cour avant ; 3. d’un arbre ou plus situé à l’intérieur de la bande de protection riveraine d’un lac ou d’un cours d’eau ;
The same Saint-Hippolyte zoning regulation (Chapter 7.1.6) requires that if a tree is cut down without authorization, in this protected humid area, it must be replaced by two trees.
7.1.6 : Remplacement des arbres abattus sans autorisation Tout arbre abattu sans certificat d’autorisation, doit être remplacé par un (1) nouvel arbre dans les six (6) mois suivant la date de l’infraction. Si l’arbre abattu est situé à l’intérieur de la bande de protection riveraine, il doit être remplacé par deux (2) nouveaux arbres dans les six (6) mois suivant la date de l’infraction. Les arbres à planter doivent être indigènes au Québec et être adaptés à la zone de rusticité de SaintHippolyte. Les feuillus doivent avoir un diamètre minimal de 2.5 centimètres mesuré à 0.60 mètre du niveau du sol et atteindre une hauteur minimale de 5 mètres à maturité. Dans le cas d’un conifère, ce dernier doit présenter une hauteur de 1,2 mètre à la plantation et une hauteur minimale de 2 mètres à maturité. Si les arbres meurent dans un délai de 24 mois suivant leur plantation, le propriétaire doit les remplacer.
In addition to yard waste, owner of #53 left huge mounds of tree branches, from the trees that he admittedly cut down, in this environmentally sensitive and protected area. This is an additional act of dumping and of polluting this environmentally sensitive and protected area.
REMEDY:
- Compel owner of #53 to pay to replace two trees for each he admittedly cut down in May, 2022.
- Compel owner of #53 to remove the yard waste he dumped.
- Impose appropriate fines.
- Compel owner of #53 to remove the huge pile of tree branches he dumped onto this protected area.
4- MOTORIZED DOCK
Despite Saint-Hippolyte regulation, the owner of #53 cotinues to drive a motorized dock all around Lac Morency, throughout the time the lake is unfrozen, sometimes several times per day. The motorized dock frequently holds over ten people. Over fifteen people have been counted and appear in at least one photograph. In addition, the motorized dock often tows an inflatable boat filled with children, who do not wear life preservers, which has been photographed. One provided photograph shows a baby on the motorized dock, not wearing a life preserver, among about fifteen others, some in chairs, some seated on the dock, some standing.
From Saint-Hippolyte website, Quais motorisés
Les quais motorisés, qu’ils soient propulsés par un moteur électrique ou par un moteur à combustion, sont interdits sur tous les lacs se trouvant sur le territoire de la municipalité s’ils ne sont pas munis d’un avis de conformité émis par le fabricant et conforme aux exigences de Transport Canada. (https://saint-hippolyte.ca/reglements/#quai_prive)
REMEDY: Compel owner of #53 to cease using a motorized dock on Lac Morency.
5- NOISE
#53 has loudspeakers that play music so loudly that it drowns out regular conversation at #57. [link to videos]
Saint-Hippolyte noise regulation SQ-913-01[2019], Chapter VII [Noise], 18 [loudspeakers are considered a nuisance when] (b): de manière à ce que les sons reproduits soient audibles à une distance de quinze mètres (15 m) ou plus du terrain ou de l’immeuble d’où proviennent ces sons;
[translation: when the sound produced by the speakers is audible 15 metres or more from the property line.]
Compare this to situation between #53 and #57. #53 speakers are approximately 14 metres from property line. #57 house is approximately 35 metres from property line, and fully forested. Yet, music from #53 loudspeakers is audible inside #57 house (more than twice the allowable distance of 15 metres,) as well as on #57 dock at approximately 45 metres from property line (three times the allowable distance,) and everywhere else on #57 property.
Additional noise violation: music played on (illegal) motorized dock :
People on the motorized dock belonging to owner of #53 frequently play music from loudspeakers while motoring around Lac Morency. The music carries all around the lake. These people stop the dock on the lake, sometimes very close to others’ properties, play loud music, and generally do not respect others’ enjoyment of their waterfronts. This is prohibited by the same regulation, but instead of letter (b) defining distance between properties as cited above, see letter (d), which defines noise nuisance as originating from loudspeakers situated on a lake and which interferes with the peace or wellbeing of other users of the lake or citizens.: sur les lacs et cours d’eau de façon à troubler la paix ou le bien être des autres usagers ou des citoyens.
REMEDY: Compel owner of #53 to cease using outdoor loudspeakers such that they are illegally audible, both
- from the #53 property and
- from the floating dock no matter that dock is.
6- UNAUTHORIZED TREE REMOVAL
Owner of #53 admits and justifies (on recording) his cutting four trees on #57 property, and removing the wood (except for the branches, which he left behind). He justifies this by claiming that the trees were dangerous and uprooted, although he took no pictures, and no evidence of an uprooted tree exists anywhere near these tree stumps. Owner of #57 took pictures. The cut trees were not uprooted.
All four trees stood clearly on #57 property, within the 10 metre protected border to the south of the stream. The trees stood to the south of #53 extensive lawn. 2023 survey work shows the cut trees clearly on #57’s property.
In Quebec there is no right to self-help as regards tree removal. The Quebec Civil Code, Division IV [Trees] Section 985 states:
There is never any permission for the landowner to walk on the tree owner’s land. Even if there were a right to self-help, owner of #53 never contacted owner of #57, never asked her to clear her trees, never asked her to allow him to clear them. He also did not provide photos of trees he cut down, to show that they were a danger to himself. He did state that they were posing a danger to his hammock, which ironically is wholly located on #57’s property. Owner of #53 never made an effort to inform owner of #57 that he cut trees standing on #57’s property. When owner of #57 asked owner of #53 if he cut her trees, he answered yes, and justified his actions. Owner of #57 recorded this verbal conversation.
This illegal tree cutting violates numerous laws, including:
- general illegal tree cutting without a permit [Saint-Hippolyte zoning regulation (1171-19, chapter 7.1.2)]
- cutting trees within a protected area bordering water (as above, chapter 7.1.6)
- cutting trees belonging to somebody else: destruction of private property
- taking the wood from illegally cut trees is theft
- trespassing in order to illegally cut trees
Saint-Hippolyte zoning regulation (1171-19, chapter 7.1.2) requires that trees within 3 metres of lateral property lines as well as in waterway protection areas must be conserved.
Dans tous les cas, les arbres sains situés à moins de 6 mètres des limites du terrain en cour avant et 3 mètres des limites du terrain en cours latérales et arrière doivent être conservés. L’obtention d’un certificat d’autorisation est obligatoire pour l’abattage : 1. de plus d’un arbre ; 2. d’un arbre ou plus situé en cour avant ; 3. d’un arbre ou plus situé à l’intérieur de la bande de protection riveraine d’un lac ou d’un cours d’eau ;
If owner of #57 does not address the trees cut on her property, the municipality could fine her for cutting her trees that were BOTH within three metres of the property line AND within a protected area.
The same Saint-Hippolyte zoning regulation (Chapter 7.1.6) requires that if a tree is cut down without authorization, in this protected humid area, it must be replaced with two trees.
7.1.6 : Remplacement des arbres abattus sans autorisation Tout arbre abattu sans certificat d’autorisation, doit être remplacé par un (1) nouvel arbre dans les six (6) mois suivant la date de l’infraction. Si l’arbre abattu est situé à l’intérieur de la bande de protection riveraine, il doit être remplacé par deux (2) nouveaux arbres dans les six (6) mois suivant la date de l’infraction. Les arbres à planter doivent être indigènes au Québec et être adaptés à la zone de rusticité de SaintHippolyte. Les feuillus doivent avoir un diamètre minimal de 2.5 centimètres mesuré à 0.60 mètre du niveau du sol et atteindre une hauteur minimale de 5 mètres à maturité. Dans le cas d’un conifère, ce dernier doit présenter une hauteur de 1,2 mètre à la plantation et une hauteur minimale de 2 mètres à maturité. Si les arbres meurent dans un délai de 24 mois suivant leur plantation, le propriétaire doit les remplacer.
SEPARATE AND DISTINCT REMEDIES FOR:
- illegal tree cutting in protected humid area
- illegal tree cutting close to a property line
- destruction of another’s private property
- theft of wood
- trespass
7- TRESPASS
#53 owner and dozens of guests routinely trespass on #57 property. Trespass is both constant and intermittent.
Constant Trespass:
#53 has installed a 6”x6” post in the ground on #57’s property. From this post, #53 hangs a hammock, which extends down to a tree, which is also entirely on #57’s property. According to recent survey work, the hammock is 26” over the property line, on #57’s side.
#53 has installed and constantly houses and uses floodlights in two trees, both trees standing on #57’s property.
#53 has put down sod/grass several metres over the property line, covering many square metres of #57’s property.
Specific Remedies:
- The hammock and the post must be removed.
- The lights must be removed.
- Sod/grass must be removed.
Regular but Intermittent trespass:
#53 currently, and every winter, stores a pedal boat on #57’s property.
#53 currently, and every winter, stores a dock on #57’s property. The dock is chained to a tree on #57’s property.
#53 owner and dozens of guests at a time walk over property line and trespass on #57’s property. This occurs when they lie in the hammock, or walk on the shore next to the dock. Included in this intermittent trespass is a dog, regularly on #57 property off leash.
Specific Remedies:
- Boat must be removed.
- Dock must be removed
- Owner of #53 and all of his guests, human and animal, must stay off #57’s property at all times.
General Remedies
Civil Code of Quebec, Article 953 grants owner of #57 the right to forbid owner and guests of #53 to enter #57’s property: The owner of property has a right to revendicate it against the possessor or the person detaining it without right, and may object to any encroachment or to any use not authorized by him or by law.
Civil Code of Quebec, Article 992. “Where an owner has, in good faith, built beyond the limits of his land on a parcel of land belonging to another, he shall, as the owner of the land he has encroached upon elects, acquire the parcel by paying him its value, or pay him an indemnity for the temporary loss of use of the parcel.
If the encroachment is a considerable one, causes serious injury or is made in bad faith, the owner of the land encroached upon may compel the builder to acquire his immovable and to pay him its value, or to remove the constructions and to restore the place to its former condition.”
8- OWNER OF #53 LEGALLY ACKNOWLEDGED THE CURRENT SURVEY OF HIS PROPERTY
In purchasing the property at #53, the new owner signed a sale document acknowledging acceptance of the survey produced earlier in 2019. This legal acknowledgement precludes owner of #53 to claim that he was misinformed of the boundaries of his property. (see pages 3-4 of #53 property sale, DÉCLARATIONS DE L’ACHETEUR)
In addition to this survey, owner of #57 has tried numerous times to furnish a copy of her own survey to people on #53 property who were trespassing and who were asked to leave #57 property.
In 2021, owner of #57 employed an attorney to write a letter to owner of #53, asking him to mutually and peacefully undertake a marking of both his survey on the survey for #57, which are in agreement with one another, so that the agreed upon information in the documents is reflected on the actual soil. Owner of #53 ignored this letter.
To summarize, surveys of #53 and of #57 have been available, and in agreement with one another, since #53 owner has owned his property, and though he has committed his signature to a document stating that he acknowledges the property boundaries, he has been entirely unwilling to respect these boundaries.
In any remedy, owner of #53 must be held accountable as knowing the true information contained in his own property survey.
9- DUMPING ON PRIVATE PROPERTY
In addition to dumping yard waste and a huge mound of tree branches into the environmentally protected area by the wooded stream on #57 property, owner of #53 dumped yard waste onto #57’s private property, which is a separate crime.
10- THEFT
Owner of #53 chopped down several of #57’s trees, and took the wood for himself. He said this in a recorded conversation referenced above and presented on this page. This is theft. Whether this stolen property is worth more or less than $5000 will be determined by the way in which firewood plus the value of a living tree is determined.
11- DESTRUCTION OF PRIVATE PROPERTY
Owner of #53 chopped down several of #57’s trees. While these trees are regulated in terms of being protected, they are also part of the private property of #57, and they have been destroyed.
12- REMOVAL OF LEGAL SURVEY MARKERS
Owner of #57 paid $1725 to licensed surveyor to survey and perhaps mark the property line between #57 and #53. In the process of the work, surveyor found an existing marker underground, and therefore, consistent with law, added tape and a stake to the location. Twenty days later, all of the stakes were removed, including the underground one placed years earlier. This coincided with neighbours’ first arrival since work was completed.
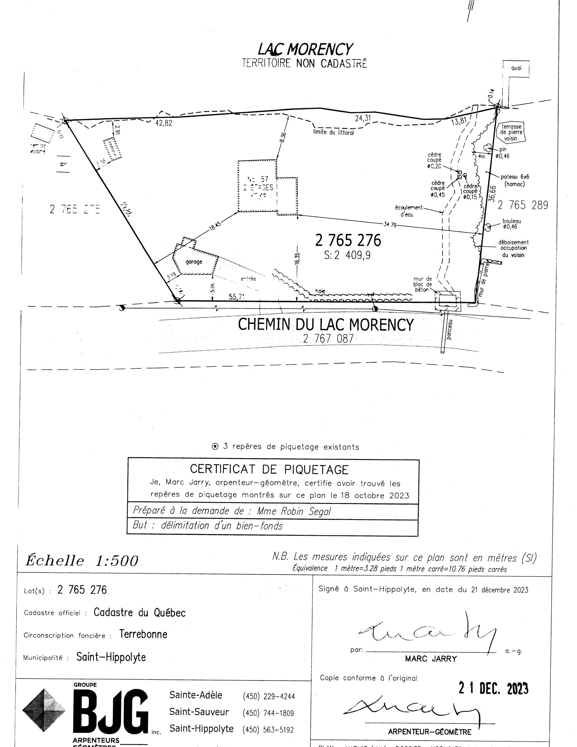
Survey Work on Boundary between #57 and #53. October 2023.
This is the surveyor who worked on Oct. 18, 2023. He measured many points and determined the boundary line between the properties (#53 and #57 Chemin du Lac Morency.) His work is represented in the official and licensed drawings appearing below these videos and photos. The two videos below are split and contain seconds of overlap to illustrate they are sequential. They show the surveyor finding an existing property marker underground.





Twenty days after surveyor planted stakes, stakes were removed. This coincided with #53 neighbours’ first appearance since work was completed.


Land Survey Work: 2019 and 2023
Current owner of #57 purchased property from an estate in September, 2019. The survey had been issued the previous month.
Current owner of #53 purchased property from a house flipper in December, 2019. The survey had been issued earlier that month.
Current owner of #57 had additional survey work done in the form of marking the property, as part of an effort to communicate to owner of #53 that he has been trespassing and violating other rights of neighbour/owner of #57.
The upshot is that twenty days after the survey work was done on the property, the owner of #53 illegally pulled out the legally placed markers, dumped yard waste onto #57’s property, and chained his dock to a tree on #57’s property.



2023 work by Surveyors …
SURVEY: BORDERLINE DETAIL SECTION
Below is enlargement of border between properties at 53 and at 57 Chemin du Lac Morency. Below that are more specific enlargements which illustrate one violation at a time.


Each of #53’s violations is noted in a different colour. In slose-up images below, each violation is commented on.


[Pink]
#53 has installed floodlights on two of #57’s trees.

53 has installed a 6×6 post and hung a hammock entirely on #57 property. Post is 26″ over property line. Tree is entirely on #57 property also. (Hammock is hung from blue arrow point up to pink circle.

Stone Patio is located less than two metres from property line. On patio is a fire pit, which is used, and which has no chimney. The fires here are open fires, not fires in fireplace. Such an open fire must be located 6 metres from any property line and 6 metres from any forest. This one violates both by-laws.

Dock must be 5 metres from property line. This requirement extends into the water, which is why property line is extended (in red) into lake area.
Current dock is approximately one metre from property line at near left corner, but possibly on the line at far left corner.

Imagine having to move this retaining wall made of boulders.

Three cut trees are clearly on #57’s property. The trees are cut, not fallen.
Owners of #53:
- dumping yard waste on neighbouring (#57) property
- dumping yard waste onto an environmentally protected area (Saint-Hippolyte)
- trespass (#57)




Trees Cut Down without Permission
Audio of Conversation in which #53 owner admits to and justifies cutting down #57 owner’s trees, directly to #57 owner.
Videos and Images of Neighbors Trespassing and Violating other laws, 2021-2023.
Neighbors Play Loud Music Using Outdoor Speakers
Music from Lake, from Motorized Dock
Motorized Dock
Dock Added at #53 is too close to property line. This results in routine trespass every time somebody stands next to the dock or steps into the lake.
Compare Google Earth photos from 2015 and the current, unpermitted, illegally situated dock.



Cited Regulations:
- Saint-Hippolyte RÈGLEMENT NO SQ-913 of 2018
- Saint-Hippolyte RÈGLEMENT NO SQ-913 updated 2019
- Saint-Hippolyte RÈGLEMENT DE ZONAGE NO 1171-19 2019
- Saint-Hippolyte RÈGLEMENT NO SQ-902 SUR LES NUISANCES2011
- Saint-Hippolyte RÈGLEMENT RELATIF À LA SÉCURITÉ INCENDIE 1196-20 2020
- Civil Code of Québec, CQLR c CCQ-1991
- https://saint-hippolyte.ca/reglements/cc



